上海“暴雨+台风”双预警,明天2时至20时为显著降水时段 作者:admin 发表于:1年前 (2024-10-31) 阅读:5 评论:0 国际 今日回顾 ... Tags: 旅游胜地 台风 台风路径 暴雨蓝色预警 上海台风 台风蓝色预警信号 最强台风 台风预警 福建台风 天气 暴雨
刚刚,台风“康妮”登陆!松江将迎大暴雨,注意防范→ 作者:admin 发表于:1年前 (2024-10-31) 阅读:2 评论:0 城市 ... Tags: 旅游胜地 台风 大暴雨 上海台风 最新台风消息 台风预警 台风消息
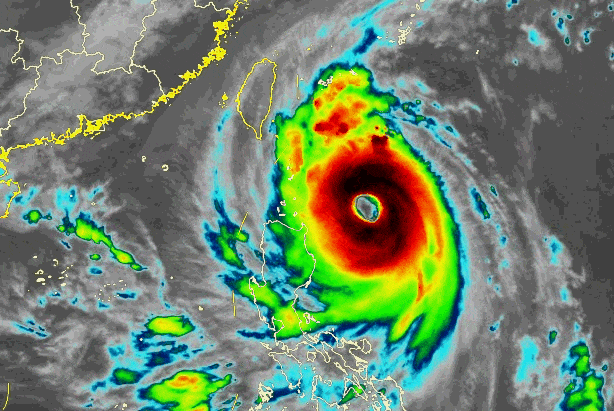
超强台风“康妮”中午即将登陆!福建一地停课! 作者:admin 发表于:1年前 (2024-10-31) 阅读:1 评论:0 低空经济 台风最新消息 超强台风“康妮” 已进入24小时警戒线 即将于31日中午前后 在台湾岛东部沿海登陆 ↓点击查看台风“康妮”最新路径↓ 今日08时其中心位于 距离台湾省台东市东南方向约155公里 就是北纬21.8度、东经122.2度 中心附近... Tags: 房地产 台风 超强台风 台风路径 台湾台风 上海台风 宁波台风 台风预警 最新台风消息 福州台风 最强台风
刚刚,台风蓝色预警发布,上海全市转雨!“康妮”即将登陆台湾岛,然后大转弯 作者:admin 发表于:1年前 (2024-10-31) 阅读:1 评论:0 农村 今天(10月31日)9时 上海中心气象台 发布台风蓝色预警信号 受今年第21号台风“康妮”和冷空气共同影响,预计31日夜里至11月2日早晨本市将出现陆地阵风8-9级,沿江沿海地区阵风9-10级,请注意防范台风对高空作业、交通出行、设施农业等... Tags: 旅行团 台风 18号台风 上海台风 台风蓝色预警信号 台湾台风 23号台风 台风预警 福建台风
突发!台湾股市,今天暂停交易!上海紧急提醒:可适量储备饮用水和食物 作者:admin 发表于:1年前 (2024-10-31) 阅读:1 评论:0 汽车 据中央气象台消息,今年第21号台风“康妮”,已于10月30日早晨由强台风级加强为超强台风级,预计将于10月31日白天在台湾岛东部沿海登陆。受冷空气和“康妮”的共同影响,台湾海峡、福建沿海等地将有大风天气。 ... Tags: 江淮汽车 台风 今年16号台风 上海台风 台湾台风 最强台风 福州台风 台风消息 台风预警 台风动态 福建台风